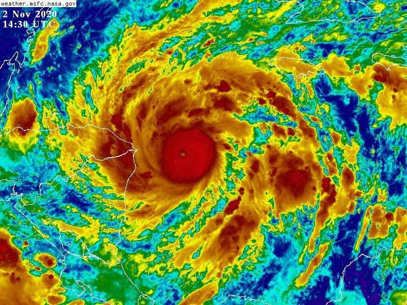
Rápidamente Eta se ha convertido en un poderoso huracán de categoría 4

- Prensa Nicaragua Actual
- Nicaragua Actual
El Centro Nacional de Huracanes de los Estados Unidos (NHC, por sus siglas en Inglés) reportó en su más reciente informe, que el ciclón ha alcanzado la categoría 4 antes de tocar tierra en Nicaragua.
La categoría 4 es considerada como la segunda categoría más alta en la escala de huracanes de Saffir-Simpson.
Hurricane #Eta Advisory 9: Eta Becomes a Category 4 Hurricane as Conditions Begin to Deteriorate Along the Northeastern Coast of Nicaragua. https://t.co/VqHn0u1vgc
— National Hurricane Center (@NHC_Atlantic) November 2, 2020
Sus mortíferos vientos alcanzan velocidades de entre 210 a 249 kilómetros por hora y las olas superan los 5 metros de altura.
Las tormentas de categoría 4 se consideran huracanes extremos.